澜沧“食”令——清明

2025-04-08 09:55:25 阅读量3662 字数320

澜沧“食”令——清明春回大地,万物复苏,转眼又到清明时。

在澜沧,每逢清明,人们会制作一种特色美食——青团。

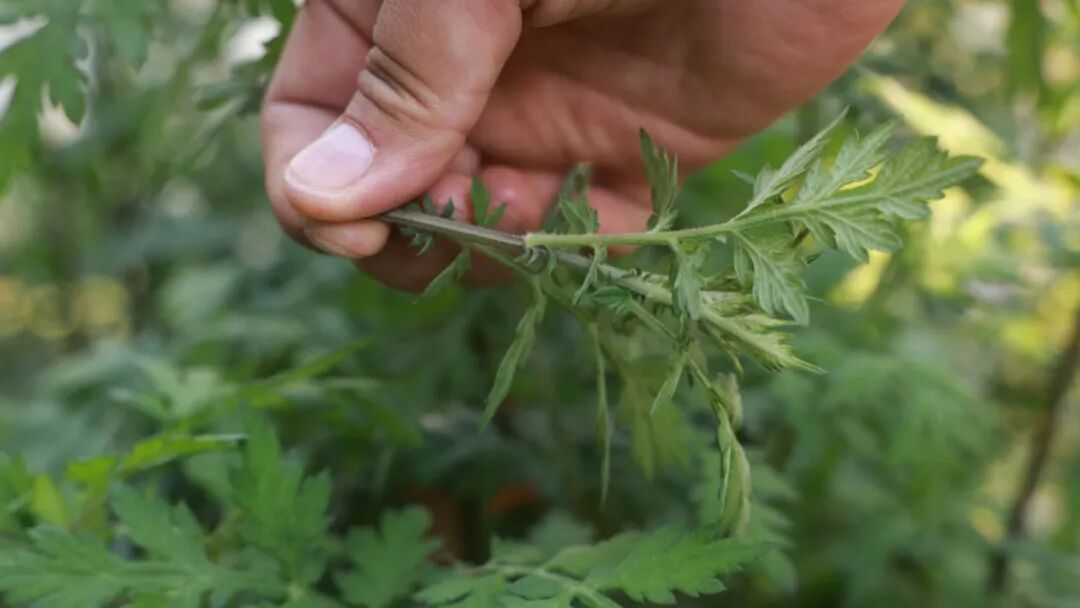
采集新鲜青蒿叶

清洗干净。

榨汁

过滤出青色的汁液

取适量糯米粉与青蒿汁混合揉成面团

这一步需要足够的耐心来确保面团均匀且柔软适中

准备花生、瓜子、黑芝麻等馅料

文火小炒至馅料香气四溢时取出

将馅料包入面团中,搓圆,一个可爱的青团便初具雏形

把青团放入蒸笼里,大火蒸煮约我20分钟,一个个色泽鲜绿、圆润饱满的青团就完成了

品尝一口清香四溢的青团,不仅是一种味觉上的享受,更承载着人们对美好生活的向往和对传统的敬重

愿大家在享受美食的同时,也能感受到那份来自大自然的馈赠与传统文化的魅力。

来源:澜沧县融媒体中心 李飞雷 李紫珏 李根淼、勐朗镇 鲍茜茜 李建海

【声明】如需转载丽江市融媒体中心名下任何平台发布的内容,请 点击这里 与我们建立有效联系。

© 丽江市融媒体中心
24小时网站违法和不良信息举报电话:0888-5112277 举报邮箱:LjrmTS@163.com
【声明】如需转载丽江市融媒体中心名下任何平台发布的内容,请 点击这里 与我们建立有效联系。

扫码阅读/转发